200 mq
3
2
PRONTA DA ABITARE. COMODA. ELEGANTE.
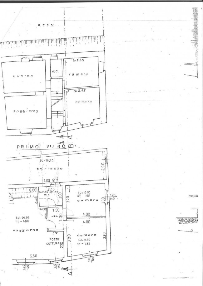
In posizione dominante del centro storico, vendiamo caratteristica e comoda Casa singola ristrutturata di mq. 200, sviluppata su due livelli.
Al piano primo, l'abitazione presenta un ampio soggiorno con cucina a vista e camino, n. 2 camere da letto, un comodo disimpegno oltre al bagno e all'ampio terrazzo panoramico.
Al piano terra, troviamo un ulteriore soggiorno-openspace con camino, n. 1 camera da letto, un bagno finestrato e n. 2 locali da adibire a dispensa e cantina, da riattare.
L'immobile si fa apprezzare per gli ampi spazi interni ed esterni, per la funzionale terrazza attrezzata, completa di forno a legna con barbecue, oltre all'esclusivo GARAGE di mq. 40, prezioso per il centro storico.
Impiantistica a norma, infissi in legno/doppio vetro, pavimentazione in gres porcellanato, ottime finiture.
Disponibilità immediata!

200 mq
3
2